الأربعاء, 5 نوفمبر 2025 11:34 AM

ثورة في التنبؤ بالطقس: الذكاء الاصطناعي يتفوق على النماذج التقليدية في توقع العواصف وموجات الحر

ثورة في التنبؤ بالطقس: الذكاء الاصطناعي يتفوق على النماذج التقليدية في توقع العواصف وموجات الحر

تسعى هيئات الأرصاد الجوية لتحسين دقة توقعات موجات الحر والعواصف مع تقليل استهلاك الطاقة، معتمدة على التطور السريع في نماذج الذكاء الاصطناعي للتخفيف من الكوارث الناتجة عن تغير المناخ.

بعد تقدم أولي عام 2023 مع نموذج تعلم من "هواوي"، طورت "غوغل" و"مايكروسوفت" أدوات ذكاء اصطناعي قادرة على إنتاج توقعات أفضل من الحواسيب التقليدية التابعة للهيئات الدولية الكبرى في دقائق معدودة، مقارنة بساعات.

هذا الأداء التجريبي، غير المتاح للعامة أو المحترفين، يشير إلى تقدم سريع في الأبحاث. "غوغل" أعلنت في ديسمبر أن نموذجها "جين كاست"، المدرب على بيانات تاريخية، قادر على التنبؤ بالطقس والعوامل المناخية المتطرفة لمدة 15 يومًا بدقة غير مسبوقة. لو كان "جين كاست" يعمل في 2019، لتجاوز توقعات المركز الأوروبي للتنبؤات الجوية المتوسطة المدى (ECMWF) في 97% من الحالات لأكثر من 1300 كارثة مناخية.

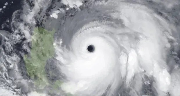
نموذج آخر، "أورورا" من مختبر "مايكروسوفت" في أمستردام، هو أول نموذج ذكاء اصطناعي يتنبأ بمسار الأعاصير لخمسة أيام أفضل من سبعة مراكز توقعات حكومية، وفقًا لنتائج نشرت في مجلة "نيتشر".

بالنسبة لإعصار دوكسوري 2023، الأكثر تكلفة في المحيط الهادئ (أضرار بأكثر من 28 مليار دولار)، تمكن "أورورا" من التنبؤ بوصول العاصفة إلى الفلبين قبل أربعة أيام، بينما كانت التوقعات الرسمية تشير إلى اتجاهها نحو شمال تايوان.

يقول باريس بيرديكاريس، مبتكر "أورورا": "الهدف في السنوات الخمس إلى العشر القادمة هو بناء أنظمة تعمل مباشرة مع عمليات الرصد، سواء أقمار اصطناعية أو غيرها، لوضع توقعات عالية الدقة حيثما نريد"، في ظل افتقار دول كثيرة لأنظمة تحذير موثوقة.

كان متوقعًا أن تنافس نماذج الذكاء الاصطناعي النماذج الكلاسيكية، لكن "لم يتوقع أحد أن يحدث ذلك بهذه السرعة"، كما تقول لور راينو، الباحثة في مجال الذكاء الاصطناعي لدى هيئة "ميتيو فرانس" الفرنسية للأرصاد الجوية.

تعمل النماذج "الفيزيائية"، المطورة على مدى عقود، بإدخال بيانات رصدية هائلة أو أرشيفات الطقس في أجهزة كمبيوتر قوية، ثم تطبيق قوانين الفيزياء المحولة إلى معادلات رياضية لاستنتاج التوقعات. لكنها تتطلب ساعات من العمليات الحسابية وتستهلك كميات كبيرة من الطاقة.

نموذج التعلم القائم على الذكاء الاصطناعي يجمع البيانات نفسها، لكن شبكته العصبية تغذي نفسها وتستنتج التوقعات بطريقة "إحصائية تمامًا"، دون إعادة احتساب كل شيء، وفقًا للور راينو. وتضيف: "قد نتمكن بفضل مكاسب في السرعة والجودة، من احتساب توقعاتنا بشكل أكثر تكرارًا يوميًا"، خاصة للعواصف المدمرة والتي يصعب التنبؤ بها. تسعى "ميتيو فرانس" لتقديم توقعات مدعومة بالذكاء الاصطناعي على نطاق بضع مئات من الأمتار.

يعمل المركز الأوروبي للتنبؤات الجوية المتوسطة المدى على نموذج ذكاء اصطناعي خاص به، "أقل تكلفة لناحية الحساب بنحو ألف مرة من النموذج التقليدي"، وفقًا لفلورنس رابيه، المديرة العامة للمركز الذي يوفر توقعات لـ 35 دولة أوروبية.

ينتج نموذج الذكاء الاصطناعي هذا حاليًا توقعات على مقياس يبلغ حوالي 30 كيلومترًا مربعًا، وهو أقل تفصيلاً من "أورورا" (حوالي 10 كيلومترات مربعة)، لكن نسخته الأولى تشغيلية ويستخدمها خبراء الأرصاد الجوية المحليون المسؤولون عن إعداد التنبيهات للسكان منذ فبراير.

لن تختفي التوقعات التقليدية بسرعة، بحسب لور راينو، التي تقول: "سنحتاج دائمًا إلى خبراء في الأرصاد الجوية لتقييم البيانات". وتؤكد فلورنس رابيه: "عندما يتعلق الأمر بحماية الأشخاص والممتلكات، لا أعتقد أننا نستطيع الاستغناء عن الخبرة البشرية".

مشاركة المقال: